SIGN UP LOGIN
Refine Search

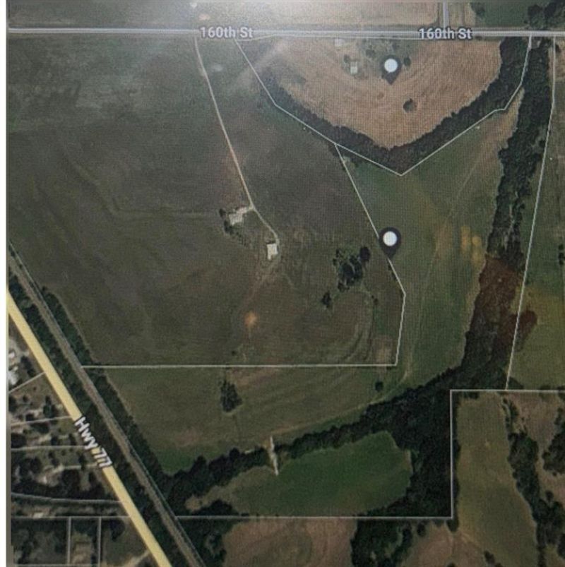
29594 S 160th Street, Wayne, OK 73095

$300,000
  • 29594 S 160th Street, Wayne, OK 73095 Main Photo

18 Total Photos [Click to View All]

Active Price Reduced by $25,000 on April 7th, 2026
LOT SIZE 60.230 acres MLS#1216999
STATUSActive PROPERTY TYPELand - Farm SCHOOLWayne

Property Description

This property has it all! If you like riding ATVs and dirt bikes, hunting, farming and even shooting this property is for you. The property is surrounded by a creek. There are eight hilltop acres that are not in a flood zone, so you can build your home on the hill overlooking your beautiful acreage. Use the shooting range for target practice but when it's deer season hunt in your own backyard. The owner has two ATVs that he plans to leave. The shooting range will stay. When looking at the land you will find fencing poles on both sides of the road , those just mark holes he didn't want to drive in. The land sits between two creeks and crosses over to the south side by crossing the creek on the right. Land produces about 180 bales of Johnson grass a season. It's very private, run around outside make private. No HOA!!

29594 S 160th Street | MLS# 1216999

This land located at 29594 S 160th Street, Wayne, OK 73095 is currently listed for sale with an asking price of $300,000. The property has approximately 60.23 Acres. S 160th Street is located within the Wayne school district. Search Wayne real estate on www.cherylfregin.com today.

Property Features

Property Type: Land - Farm
Lot Size: 60.23 Acres
Taxes: $138

Feature Descriptions

Days on Site: 35
Fencing: Other
Flood Plain: 1
Lot: Pasture
Water: Rural

Local Schools

High School: Wayne HS
Middle School: Wayne MS
Elementary School: Wayne ES
School District: Wayne

Listed By / Shown By

Listed By

Agency Name: Metro First Realty
Agency Phone: 405-242-4004
Agent Name: Vicky Ide

agent picture

Shown By

Agent Name: Cheryl Fregin
Agent Phone: (918) 440-0040
Agency Title: Chinowth & Cohen

IDX logo

Estimate Your Payment

Estimated Payment

$ 766.67 per month $667.67 Principal & Interest $11.50 Property Tax $87.50 Homeowner's Insurance

Change Payment Information

%
years/fixed
yearly
yearly (est.)
(Payments are an estimate and may vary by lender)

Login to My Homefinder

Pixel